La tormenta tropical Melissa se intensificó rápidamente durante el fin de semana, convirtiéndose en un peligroso huracán de categoría 5 con vientos de 257 km/h, tal como se había pronosticado.
El Centro Nacional de Huracanes prevé que toque tierra en Jamaica el martes 28 de octubre por la mañana como el huracán más fuerte registrado en impactar el país caribeño.
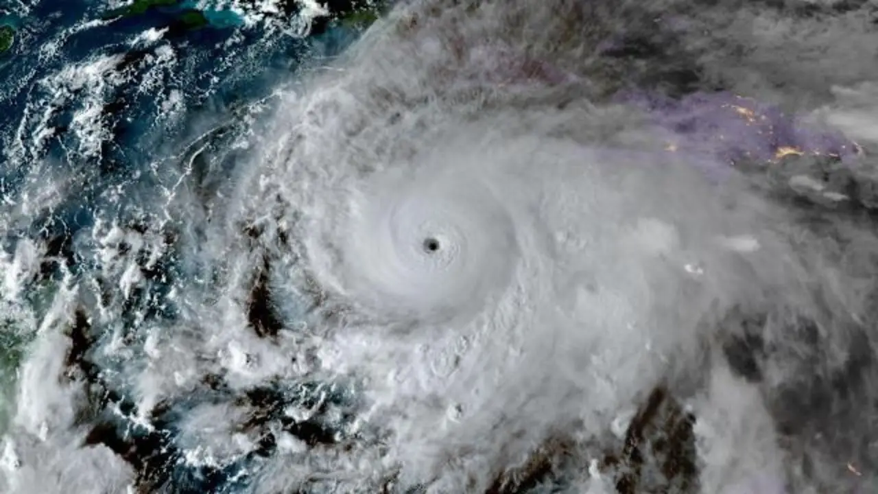
A su vez, el centro del huracán se encuentra a unos 205 km al sur de Kingston, Jamaica, y la tormenta avanza hacia el oeste a apenas 4,8 km/h.

Jamaica se encuentra en el punto crítico de la fuerte amenaza que representa Melissa, con lluvias intensas que provocan inundaciones, vientos destructivos y marejadas ciclónicas.
Se espera que el huracán toque tierra en la isla temprano el martes, aunque las fuertes precipitaciones ya afectaban a Jamaica desde el domingo. Haití también permanece bajo riesgo, enfrentando inundaciones y deslizamientos de tierra provocados por la tormenta Melissa.
Quienes se encuentren en Jamaica deben “buscar refugio ahora”, dijo el NHC la mañana del domingo. “Los vientos destructivos y las fuertes lluvias de hoy (domingo) y este lunes causarán inundaciones repentinas catastróficas y potencialmente mortales, así como numerosos deslizamientos de tierra, antes de que lleguen vientos potencialmente devastadores la noche del lunes y la mañana del martes”.
Amenazas máximas por el paso de Melissa
Los países de Jamaica, Haití y el sur de la República Dominicana se encuentran en el paso de Melissa, al menos hasta principios de esta semana.
Asimismo, Cuba, Bahamas, Turks y Caicos podrían verse afectados por el huracán, al recibir fuertes vientos, lluvias intensas y marejadas ciclónicas que ponen en riesgo a la población de estos países.
Se pronostican lluvias acumuladas de hasta 1.000 mm en algunas zonas del sur de La Española y Jamaica hasta el martes, con picos locales que podrían alcanzar los 1.000 mm. En el este de Cuba, los acumulados podrían llegar a 500 mm.
En Honduras, Copeco vigila con atención el desplazamiento de Melissa y ha afirmado que esta no representa un peligro para el país.
Lea También: Tormenta Melissa: ¿Por qué su impacto puede ser catastrófico en Honduras?

